About 2359 Belmont Drive
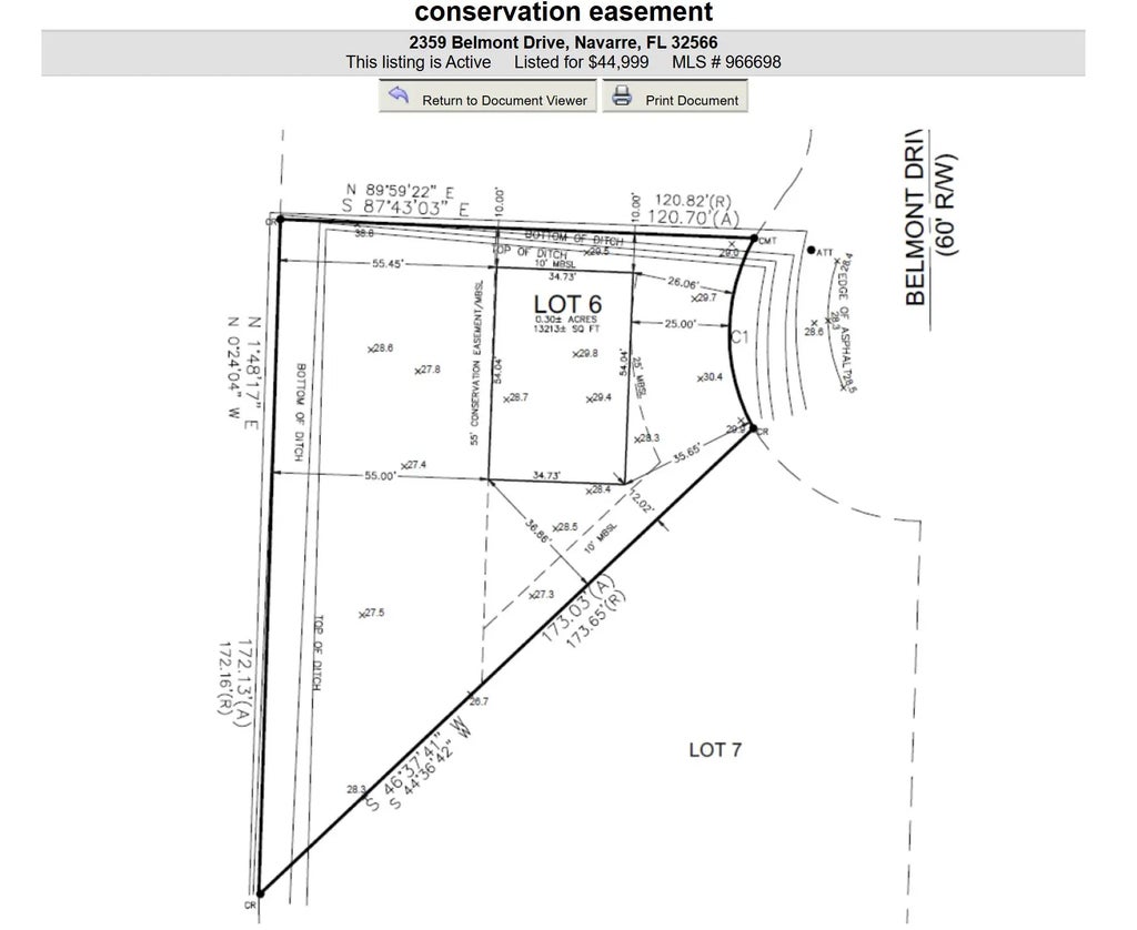
.27 acre in Azalea Estates Zoned RM1 which allows single family, mobile / manufactured homes, and modular homes. Setbacks are 25' front 10% lot width, 25' rear. Flood Zone X see photos and docs for all PUBLIC information PER the GIS map of Santa Rosa County. Seller has not conducted a wetland study or survey. There is a recorded deeded Conservation easement with the county from the 1966 owner on the back of property, like other lots on the street, so the lot is buildable. Seller HAS paid the tap in fees for water and sewer.
Features of 2359 Belmont Drive
0.27 Acres
| MLS® # | 966698 |
|---|---|
| Price | $44,999 |
| Acres | 0.27 |
| Type | Land |
| Sub-Type | Unimproved Land |
| Status | Active |
| Last Taxes | 206 |
| Last Tax Year | 2024 |
Community Information
| Address | 2359 Belmont Drive |
|---|---|
| Area | 11 - Navarre/Gulf Breeze |
| Subdivision | AZALEA ESTATES |
| City | Navarre |
| County | Santa Rosa |
| State | FL |
| Zip Code | 32566 |
Amenities
| Utilities | Electric, Phone, Public Sewer, Public Water, Tap Fee Paid |
|---|
Exterior
| Lot Description | Cul-De-Sac, Easements, Interior Lot, Irregular Lot, Wooded, Build To Suit |
|---|
School Information
| Elementary | Holley-Navarre |
|---|---|
| Middle | Holley-Navarre |
| High | Navarre |
Additional Information
| Days on Website | 365 |
|---|---|
| Zoning | Mobile Home, Resid Single Family |
